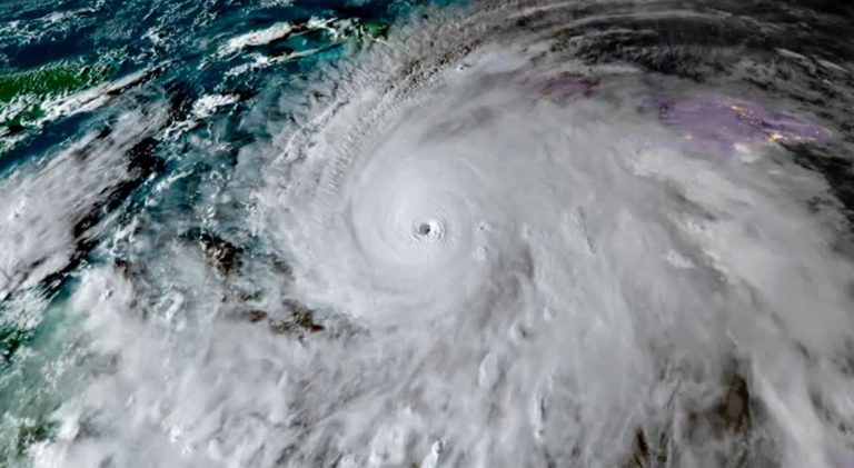
O furacão Melissa enfraqueceu para a categoria 3 perto de Cuba, com ventos de até 205 km/h, de acordo com o National Hurricane Center (NHC). Nos últimos dias, a tempestade alternou entre as categorias 3, 4 e até 5 da escala de Saffir‑Simpson, mantendo forte intensidade sobre o Caribe. A trajetória prevista indica que Melissa segue pelo leste de Cuba e deve atingir o sudeste ou centro das Bahamas ainda hoje, antes de se aproximar das Bermudas na quinta-feira à noite.
Em Cuba, as províncias de Granma, Santiago de Cuba, Guantánamo, Holguín e Las Tunas estão sob aviso oficial de furacão, e as autoridades orientam a população a se abrigar imediatamente. Na Jamaica, a passagem de Melissa causou inundações em St. Elizabeth, danos em quatro hospitais — incluindo falta de eletricidade em um deles — e deixou mais de meio milhão de pessoas sem energia. Os aeroportos do país devem ser reabertos até quinta-feira para permitir a chegada de ajuda humanitária.
Até o momento, o furacão já provocou pelo menos sete mortes no Caribe — três na Jamaica, três no Haiti e uma na República Dominicana — e ainda há pessoas desaparecidas. As autoridades continuam monitorando a tempestade e reforçando os alertas para minimizar os impactos nas regiões em seu caminho, enquanto os esforços de socorro seguem em andamento.
Fonte: CNN Portugal



